Imagine 43

ASTORIUM, LOT 361 MP!

ID: FX65204 Bucuresti, Theodor Pallady 30
1.000€
Descriere
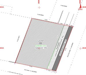
Vă propun spre închiriere un teren intravilan cu suprafața de 361 mp, situat în București, în proximitatea complexului Astorium Garden, pe Drumul Gura Căliței nr.153-157, la doar câteva minute de strada Liviu Rebreanu și Bulevardul Theodor Pallady.
Proprietatea este amplasată într-o zonă cu dezvoltare accelerată, cu acces facil și vizibilitate foarte bună, fiind potrivită pentru activități comerciale desfășurate în amplasamente mobile.
Terenul beneficiază de două fronturi stradale, cu deschidere de aproximativ 23 ml, respectiv 15,7 ml, ceea ce îl recomandă pentru un business stradal, showroom de prezentare, comerț de proximitate, punct de lucru, food-container, coffee point sau alte concepte comerciale mobile.
În plus, există certificat de urbanism obținut recent pentru P+1, cu destinația spațiu comercial, având amprentă la sol de 120 mp.
În zonă se regăsesc utilitățile în apropiere — curent, apă, canalizare, gaz, curent trifazic, CATV și fibră optică — iar accesul se face dintr-un drum de 8 m, aspect important pentru aprovizionare și operare facilă.
Proprietatea se pretează exclusiv pentru construcții nepermanente, proprietarul acceptând doar amplasament mobil / container, nu construcție fixă.
Caracteristici
  • ID:FX65204
  • S. teren:361.00 mp
  • Front stradal:23.00 m
  • Nr. fronturi:2
  • Clasificare teren:Intravilan
  • Regim inaltime:P+1
Specificatii
Curent
Apa
Canalizare
Gaz
Curent trifazic
CATV
Fibra optica
Utilitati in zona
Localizare
Vicentiu Duță Sr.
REALTOR®️, SRS, ABR, RENE, Co-fondator CaseVechi.ro, Co-fodator Terenuri-Dezvoltare.ro
Esti interesat de aceasta proprietate ?