Imagine 43

MAGURELE LOT 3500 MP

ID: FX46339 Magurele 4
24,29€/mp
Descriere
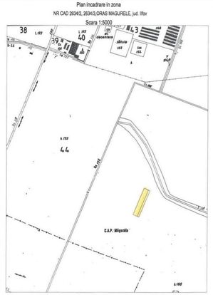
Vânzare Teren Intravilan cu Suprafata 3500mp, la intrare in or.Magurele, Strada Lotusului.
Oportunitate pentru parcelarea terenului si Construcția Caselor. Zonă Liniștită și Pitorească ferită de agitația urbană.
Pentru a programa o vizionare, vă invităm să ne contactați!
Caracteristici
  • ID:FX46339
  • S. teren:3500.00 mp
  • Front stradal:22.00 m
  • Nr. fronturi:1
  • Clasificare teren:Intravilan
  • Regim inaltime:S+P+2+M
Specificatii
Localizare
Vicentiu Duță Sr.
REALTOR®️, SRS, ABR, RENE, Co-fondator CaseVechi.ro
Esti interesat de aceasta proprietate ?
Proprietati similare
Imagine 2377
0% comision Exclusivitate
Teren intravilan de vânzar, zona Sf Ion- Faget
Cluj-Napoca, Faget / Sf Ion 88.000€
1100mp
Imagine 1711
0% comision Rep. exclusiva
Teren 15.123mp, Baldana-Racari Tartasesti, DC156
Baldana 5€/mp
15123mp
Imagine 272
0% comision Rep. exclusiva
Teren pentru dezvoltare proiect imobiliar Domnesti-Centru
Domnesti 82.000€
1207mp
Imagine 2384
0% comision Exclusivitate
Teren intravilan 622Mp, Zona Odobesti
Cluj-Napoca, Iris Pret la cerere
622mp
Imagine 1937
Exclusivitate
Sabareni - Joita, teren constructii 4750 mp
Sabareni, Est 87.000€
4750mp
Imagine 1092
0% comision Rep. exclusiva
Teren cu potențial de dezvoltare –7427 mp în Argeșelu, Mărăcineni, județul Arges
Argeselu 83.000€
7427mp