Imagine 43

Intravilan 3120mp CU P+2+Mr | AC Spatii Comerciale | Str. Alunis x Codrului

ID: FX62759 Magurele, Sud 34
420.000€
Descriere
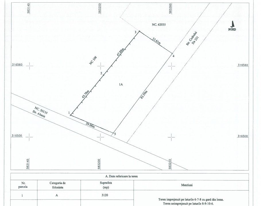
Va propunem spre vanzare un teren intravilan in suprafata de 3120mp, cu deschidere la Str. Alunis DJ 401A (profil drum 24,00m) de 39ml si deschidere la Str. Codrului De 231 (profil drum 13,00m) de 83,6ml.
Terenul are Certificat de Urbanism pentru constructia P+2+Mr si Autorizatie de Constructie pentru Spatii Comerciale cu suprafata construita de 561,16mp si suprafata utila de 492,02mp.
In acelasi timp, exista Autorizatie de Constructie pentru Banner Stradal de mari dimensiuni.
Terenul beneficiaza de toate utilitatile la limita proprietatii: curent trifazic, gaze, canalizare si apa curenta (conform AC).
Ideal pentru investitie supermarket sau bloc de apartamente! Nu se aplica TVA!
Caracteristici
  • ID:FX62759
  • S. teren:3120.00 mp
  • Front stradal:39.06 m
  • Nr. fronturi:2
  • Clasificare teren:Intravilan
  • Regim inaltime:P+2
Specificatii
Curent
Apa
Canalizare
Gaz
Curent trifazic
Acces internet
Fibra optica
Utilitati in zona
Localizare
Vicentiu Duță Sr.
REALTOR®️, SRS, ABR, RENE, Co-fondator CaseVechi.ro, Co-fodator Terenuri-Dezvoltare.ro
Esti interesat de aceasta proprietate ?
Proprietati similare
TOP 0% comision Rep. exclusiva Imagine 2853
Vanzare 33400 parcelat- 18 loturi - Plaiul Sarului la sosea- microdezvoltare
Vatra Dornei 464.900€
33400mp
0% comision Rep. exclusiva Imagine 3602
Teren Intravilan 5510mp Metalurgiei - Jumbo Auchan D Crucii 2
Bucuresti, Metalurgiei 374.680€
5510mp
0% comision Exclusivitate Imagine 3142
Fundata, VAND 15000 mp, un VIS vis a vis de Raza Soarelui
Fundata, Est 25€/mp
15000mp
0% comision Rep. exclusiva Imagine 2897
Teren Intravilan 5510mp Metalurgiei - Jumbo Auchan
Bucuresti, Metalurgiei 374.680€
5510mp
0% comision Rep. exclusiva Imagine 1511
Palas vaporas, teren industrial logistic acces facil Autostrada
Constanta, Palas 390.000€
5000mp
0% comision Rep. exclusiva Imagine 3408
CIOLPANI, LOT 5.000 MP!
Piscu 370.000€
5000mp